Dusty, Barstow, CA

$55,000

Previous Next

39.01

Acres

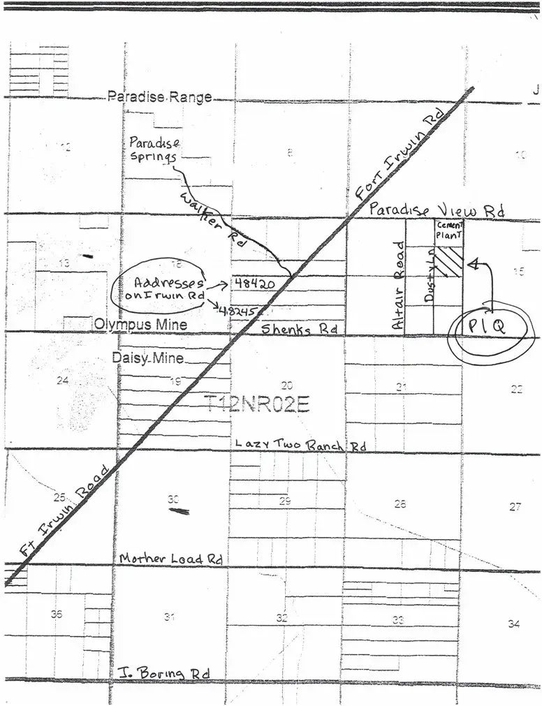
About Dusty

39.01 Acres located in beautiful Paradise Valley, only about 10 miles from Fort Irwin. From this property, you can see for miles, looking out over Coyote Dry Lake, clear over to the west side of Newberry Springs. The property adjoining to the north & to the west have electric so may not cost much to bring it to this property. Check with the electric company for pricing and availability. This parcel has legal access on Dusty Ln (AKA Sandy Ln) on the west. Take Fort Irwin Road north from Barstow. About 10 miles before you would get to the Ft Irwin Army Base, Turn right on Paradise View Rd. Right before the cement plant, turn right on Dusty Ln. (AKA Sandy Ln), go 1/4 mile to the NW corner of the parcel which will be on your left. Parcel has been surveyed. There are some pistachio trees on the property which haven't been watered for a long time so all or most are no longer alive but still on the property. Also there are two old sheds on north side of property but north property line appears to to through the sheds. Listing Agent is one of the Owners of the property.

Features of Dusty

MLS® # HD24146156
Price $55,000
Acres 39.01
Type Land
Sub-Type Lots/Land
Status Active

Community Information

Address Dusty
Area BARSTOW (92311)
Subdivision Paradise Valley near Ft Irwin
City Barstow
County San Bernardino
State CA
Zip Code 92311

Amenities

Utilities N/K
Is Waterfront No
Has Pool Yes

Interior

Fireplace Yes

Additional Information

Date Listed July 16th, 2024
Days on Market 351
Foreclosure No
Short Sale No
RE / Bank Owned No

Listing Details

OfficeTrust Real Estate

Listing Map

Request a Showing

Provide a valid email address.
When would you like to view this property?