Poppy, Adelanto, CA

$118,750

Previous Next

4.75

Acres

About Poppy

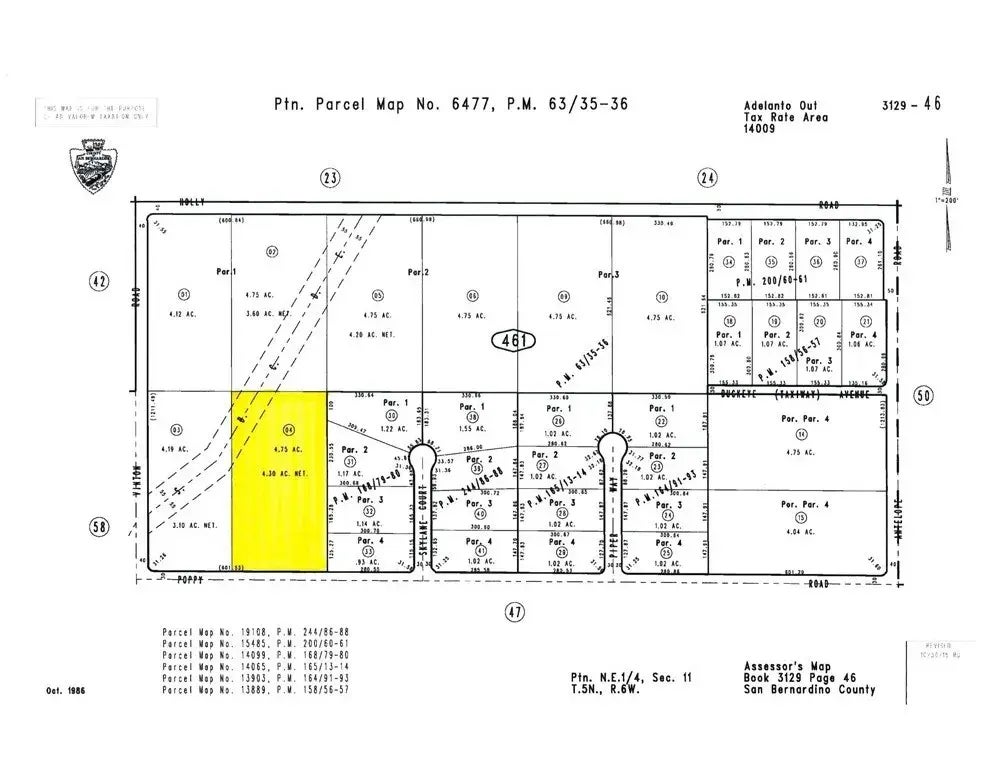
Now available for sale, this 4.75-acre parcel of vacant land is located within the Adelanto Airport Park, a growing commercial and industrial area in the City of Adelanto. The property features relatively flat topography, making it an ideal candidate for development. With convenient access to Highway 395 and proximity to Southern California Logistics Airport, this site offers strong potential for industrial, aviation-related, or commercial uses. Zoned for flexible development, this parcel represents a prime opportunity to invest in the expanding High Desert region.

Features of Poppy

MLS® # HD25137130
Price $118,750
Acres 4.75
Type Land
Sub-Type Lots/Land
Status Active

Community Information

Address Poppy
Area ADELANTO (92301)
City Adelanto
County San Bernardino
State CA
Zip Code 92301

Amenities

Is Waterfront No
Has Pool Yes

Interior

Fireplace Yes

Additional Information

Date Listed June 18th, 2025
Days on Market 12
Foreclosure No
Short Sale No
RE / Bank Owned No

Listing Details

OfficeLee & Associates

Listing Map

Request a Showing

Provide a valid email address.
When would you like to view this property?