2481 Whispering Pines, Running Springs, CA

$50,000

Previous Next

0.12

Acres

About 2481 Whispering Pines

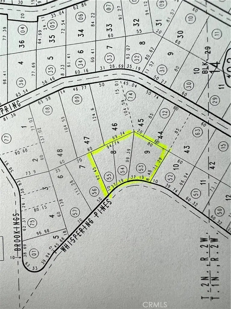
Not one, but THREE parcels available on a gentle slope close to town. Being sold with Additional APN 029510154 for 2956 square feet and APN 029510155000 at 2992 square feet for a grand total of 11,126 square feet. Local utilities are Running Springs Water district, Socal Edision, and Socal Gas.

Features of 2481 Whispering Pines

MLS® # IG24240672
Price $50,000
Acres 0.12
Type Land
Sub-Type Lots/Land
Status Closed

Community Information

Address 2481 Whispering Pines
City Running Springs
County San Bernardino
State CA
Zip Code 92382

Amenities

Utilities N/K
Is Waterfront No
Has Pool Yes

Interior

Fireplace Yes

Exterior

Lot Description National Forest

Additional Information

Date Listed November 26th, 2024
Days on Market 20
Foreclosure No
Short Sale No
RE / Bank Owned No

Listing Details

OfficeCOLDWELL BANKER SKY RIDGE REALTY

Listing Map

Request a Showing

Provide a valid email address.
When would you like to view this property?