Loma Vista, Needles, CA

$41,350

Previous Next

2.50

Acres

About Loma Vista

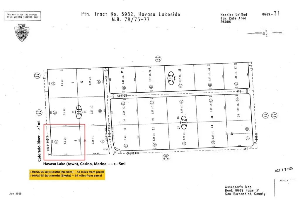
Buy this fantastic lot using a OTC (One-Time Close) Loan from our strategic partner. Low down payment option with 12-month construction financing which converts to a 30-yr mortgage, all-in-one closing! (Call/Email for more details) Nestled in the serene landscape near the Colorado River, this 2.5-acre parcel offers a unique blend of tranquility and convenience. Imagine waking up to breathtaking sunrises over the river and winding down to stunning sunsets against the backdrop of the western mountains. The proximity to Havasu Lake Village enhances the appeal, providing access to a casino, marina, and general store, all within a five-mile radius. This parcel is not just land; it's a canvas for your dream vacation or retirement home, offering both the privacy of open space and the vibrancy of community life. Whether it's the allure of the river, the charm of the village, or the expansive elbow room, this property promises a lifestyle balanced between peaceful solitude and engaging social activities.

Features of Loma Vista

MLS® # OC24057592
Price $41,350
Acres 2.50
Type Land
Sub-Type Lots/Land
Status Active

Community Information

Address Loma Vista
Area NEEDLES (92363)
City Needles
County San Bernardino
State CA
Zip Code 92363

Amenities

Utilities Electric
Is Waterfront No
Has Pool Yes

Interior

Fireplace Yes

Additional Information

Date Listed March 21st, 2024
Days on Market 468
Foreclosure No
Short Sale No
RE / Bank Owned No

Listing Details

OfficeSmokeTree Commercial

Listing Map

Request a Showing

Provide a valid email address.
When would you like to view this property?