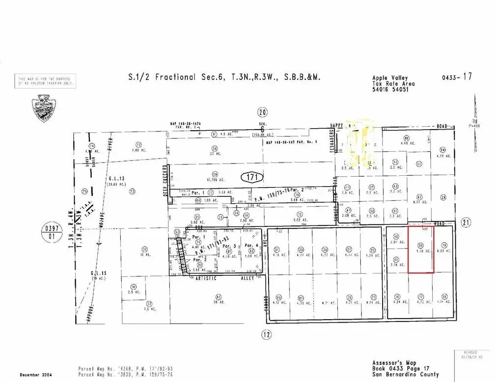
20 Rox, Apple Valley, CA

$55,888

Previous Next

4.78

Acres

About 20 Rox

Discover the serene beauty of Apple Valley's picturesque highlands! This generous 4.78-acre lot, nestled on a gently undulating terrain, boasts stunning panoramic vistas of the San Gabriel Mountains and the Mojave Desert. With dimensions of approximately 327 feet by 638 feet and an elevation that rises from 3,160 to 3,200 feet, this property promises a tranquil country lifestyle just 13.5 miles from the I-15/Main Street exit. Zoned for rural living (RL), it offers the opportunity to create your ideal home, an accessory dwelling unit (ADU), or a charming guest house. Embrace outdoor activities such as hiking and horseback riding while soaking in the peaceful ambiance of the natural surroundings. Conveniently located in San Bernardino County, yet away from the hustle and bustle of city life, this property strikes the perfect balance between a rural retreat and accessibility to local amenities. Reach out to us today to arrange a viewing and start imagining your dream mountain getaway! **Street/property address not yet assigned. Numberical is for reference only. Buyer/Buyer's Agent to complete their own due diligence to their satisfaction.**

Features of 20 Rox

MLS® # OC25033109
Price $55,888
Acres 4.78
Type Land
Sub-Type Lots/Land
Status Closed

Community Information

Address 20 Rox
City Apple Valley
County San Bernardino
State CA
Zip Code 92308

Amenities

Utilities N/K
Is Waterfront No
Has Pool Yes

Interior

Fireplace Yes

Exterior

Lot Description National Forest

Additional Information

Date Listed February 13th, 2025
Days on Market 15
Foreclosure No
Short Sale No
RE / Bank Owned No

Listing Details

OfficeSmokeTree Commercial

Listing Map

Request a Showing

Provide a valid email address.
When would you like to view this property?