1241 Sagemont, Altadena, CA

$649,000

Previous Next

0.22

Acres

About 1241 Sagemont

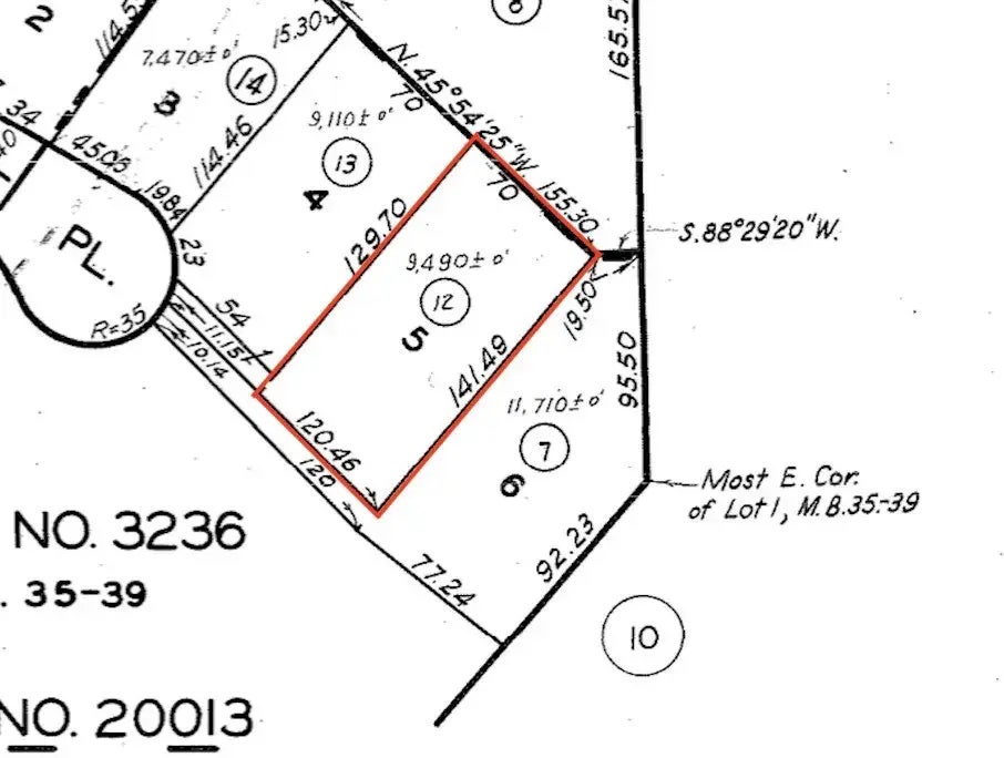
Flat-rectangular parcel available for purchase approximately 9,472 SF (8,710 usable SF) per LA County Assessor. Lot is located on Sagemont Place, the private road portion of the street. The property is located north of Altadena Drive, east of Lake Ave, south of Rubio Canyon Road, and west of Holliston Ave. Lot is zoned LCR 175 low density residential. Prior home was razed by the Eaton fire. Prior home had a sewer connection, and water, electric, and gas stubbed to the site. Interested buyers are advised to independently investigate potential future uses and parcel remediation processes with the County of Los Angeles and applicable government agencies. For safety purposes, please do not walk on the property, drive-by only. Currently priced at approximately $69 per SF of land.

Features of 1241 Sagemont

MLS® # PF25020607
Price $649,000
Acres 0.22
Type Land
Sub-Type Lots/Land
Status Closed

Community Information

Address 1241 Sagemont
City Altadena
County Los Angeles
State CA
Zip Code 91001

Amenities

Utilities Cable TV,Electric,Telephone
Is Waterfront No
Has Pool Yes

Interior

Fireplace Yes

Exterior

Lot Description Cul-De-Sac,Easement Access

Additional Information

Date Listed January 28th, 2025
Days on Market 13
Foreclosure No
Short Sale No
RE / Bank Owned No

Listing Details

OfficeCOMPASS

Listing Map

Request a Showing

Provide a valid email address.
When would you like to view this property?