3234 Raymond, Altadena, CA

$475,000

Previous Next

0.14

Acres

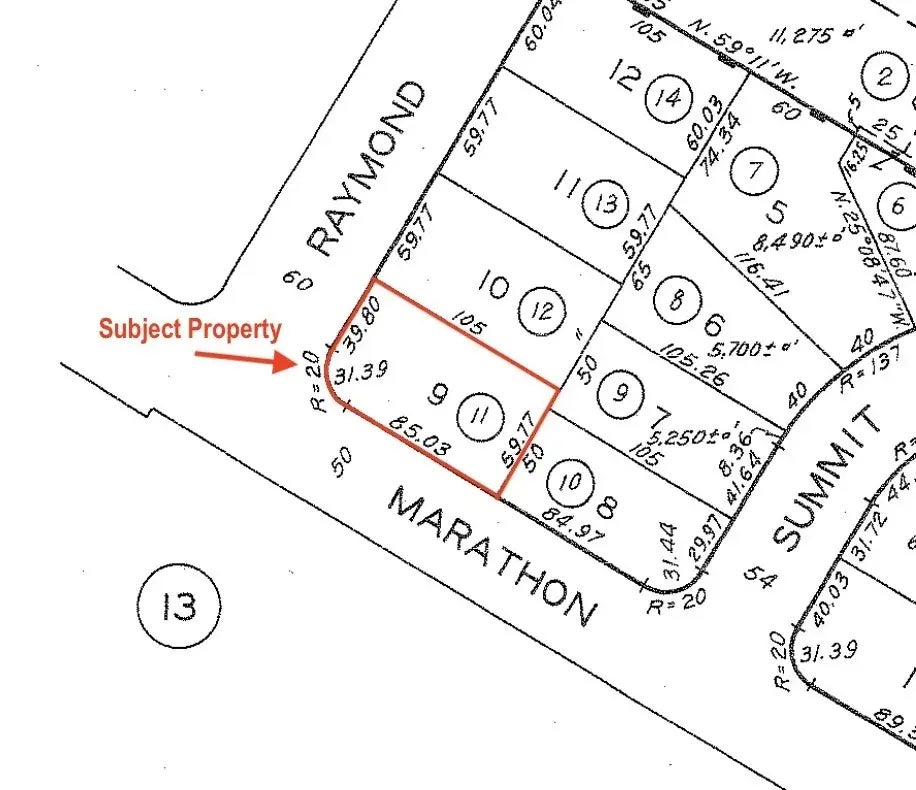
About 3234 Raymond

Located east of Fair Oaks Ave, west of Marengo Ave, and north of Altadena Drive this desirable parcel offers approximately 6,300 SF of land per the LA County Assessor. The property has undergone Phase 2 debris removal performed by the Army Corps of Engineers. This flat lot is situated on the northeast corner Raymond Ave and Marathon Road. Nearby infrastructure includes county paved road, curbs, electrical poles, water, and county sewer. Although not a cul-de-sac, this portion of Raymond Ave ends at the south where it intersects with Marathon Road and at the north where it intersects with Wapello Street, providing less traffic compared to through streets nearby. The lot shape is rectangular with a slight curve at the SW corner of the parcel. Per the LA County Assessor the lot's dimensions are approximately 60 feet wide by 105 feet deep - buyer to independently verify. The lot is zoned LCR 175 low density residential. The prior home was destroyed by the Eaton Fire, it was a 2 bedroom-1 bathroom 1948 Traditional-style SFR with 905 SF of living space. Prior to the fire the home had a sewer, water, electric, and gas stubbed to the site. Interested buyers are advised to independently investigate potential future uses and parcel remediation processes with the County of Los Angeles and applicable government agencies. For safety purposes, please do not walk on the property, drive-by only. Fairly priced at approximately $75 per SF of land (based on LA County Assessor SF number of 6,300 SF). Property shall be sold "as-is," in its present physical condition. Although Phase 2 debris re

Features of 3234 Raymond

MLS® # PF25204461
Price $475,000
Acres 0.14
Type Land
Sub-Type Lots/Land
Status Pending

Community Information

Address 3234 Raymond
Area ALTADENA (91001)
City Altadena
County Los Angeles
State CA
Zip Code 91001

Amenities

Utilities Cable TV,Electric,Natural Gas,Telephone
Is Waterfront No
Has Pool Yes

Interior

Fireplace Yes

Exterior

Lot Description Corner Lot,Curbs

Additional Information

Date Listed September 9th, 2025
Days on Market 23
Foreclosure No
Short Sale No
RE / Bank Owned No

Listing Details

OfficeCOMPASS

Listing Map

Request a Showing

Provide a valid email address.
When would you like to view this property?