Cactus, Adelanto, CA

$2,800,000

Previous Next

4.16

Acres

About Cactus

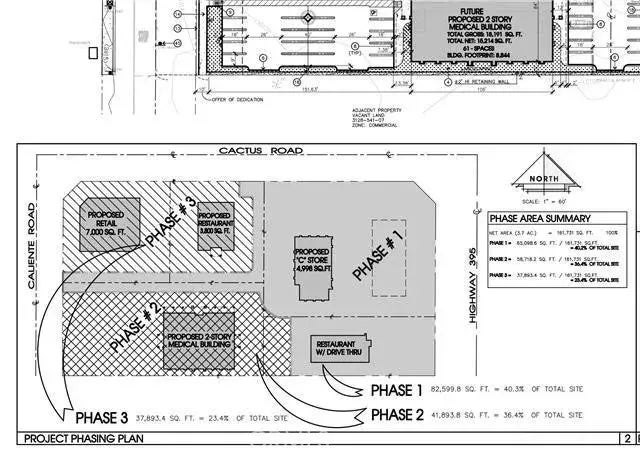
Prime Commercial Development Opportunity Corner of Highway 395 & Cactus Road Motivated sellers lets sell this lot! An exceptional investment opportunity awaits with 4.16 acres (5 subdivided parcels) of vacant land in a prime corner location at Highway 395, Cactus Road, and Caliente Road in Adelanto. Highlights: 5 Parcels (APNs: 3128-541-11, 12, 13, 04, 16) flexibility for phased development and resale. Zoned C with all plans and permits approved by the City of Adelanto. Approved uses include: Shell Gas Station with C-Store Drive-Thru Restaurant 2-Story Medical Plaza Restaurant 7,000 sq. ft. Retail Store High-Visibility Corner Lot! Prime commercial parcel located at the signalized intersection of Highway 395 and Cactus Road in Adelanto. This property offers excellent exposure with an estimated 30,000 vehicles per day along Highway 395, making it ideal for retail, service, or mixed-use development. The surrounding area is experiencing steady growth, with a population of approximately 38,000 residents in Adelanto (ZIP 92301) and projected to increase by 12% by 2025. The community has a median age of 28 years, a median household income around $68,400, and a diverse demographic base, providing strong support for new businesses. Nearby residential neighborhoods and commercial developments further enhance the sites accessibility and visibility. Dont miss this opportunity to invest in a rapidly growing corridor with excellent traffic exposure and strong local demand!

Features of Cactus

MLS® # PW25189195
Price $2,800,000
Acres 4.16
Type Land
Sub-Type Lots/Land
Status Active

Community Information

Address Cactus
Area ADELANTO (92301)
City Adelanto
County San Bernardino
State CA
Zip Code 92301

Amenities

Is Waterfront No
Has Pool Yes

Interior

Fireplace Yes

Additional Information

Date Listed August 8th, 2025
Days on Market 75
Foreclosure No
Short Sale No
RE / Bank Owned No

Listing Details

OfficeColdwell Banker Home Source

Listing Map

Request a Showing

Provide a valid email address.
When would you like to view this property?